Supprimer définitivement votre compte

Êtes-vous sûr de vouloir supprimer votre compte ? Cette action est irréversible et supprimera toutes vos données.

Création de DEM et d'Orthomosaïques avec Metashape Mis à jour récemment

Création de DEM et d'Orthomosaïques avec Metashape

Sommaire

    Introduction

    Dans ce tutoriel, nous allons présenter Agisoft Metashape, un logiciel puissant de photogrammétrie permettant de générer divers produits tels qu’un modèle 3D, un MNE (Modèle Numérique d’Élévation), une orthomosaïque, et bien d'autres, à partir de photographies stéréoscopiques prises par drone.

    Nous utiliserons un jeu de données composé de 77 photos aériennes, capturées par un drone eBeeX au-dessus d’une parcelle du Aukerman Park à Cleveland, USA. Les photos sont géoréférencées (géotaguées) grâce au GPS embarqué, et présentent un recouvrement supérieur à 70 %, ce qui est idéal pour assurer une reconstruction 3D de qualité.

    À propos de Metashape

    Agisoft Metashape est un logiciel payant de photogrammétrie. Il existe en deux versions :

    • Standard Edition (~179 €) : adaptée à la création de modèles 3D simples, mais avec des fonctionnalités limitées. Elle n’est pas recommandée pour des projets professionnels complexes.
    • Professional Edition (~3499 €) : offre des outils avancés pour la génération de MNE, d’orthomosaïques, et bien plus.

    Pour suivre ce tutoriel, vous devez :

    • Avoir Agisoft Metashape installé (version Professionnelle recommandée),
    • Télécharger le jeu de données (photos) via ce lien : Télécharger les photos.

    La première étape consiste à importer les photos dans Metashape. Pour cela, faites un clic droit sur le "Chunk", puis sélectionnez Add → Add Photos....

    Interface d'ajout de photos

    Figure 1 : Menu d'ajout des photos dans Metashape

    Alignement des photos dans Metashape

    L’alignement des photos est une étape fondamentale du processus photogrammétrique. Elle permet de retrouver la position et l’orientation de chaque image dans l’espace 3D. L’objectif est d’établir les liens géométriques entre les photos afin de reconstruire la scène en trois dimensions.

    L’algorithme utilisé par Metashape repose sur la géométrie épipolaire et la détection de correspondances entre points caractéristiques visibles sur plusieurs images. La phase clé de ce processus est l’optimisation globale appelée Bundle Adjustment. Cette étape affine simultanément les positions des caméras et la reconstruction 3D pour minimiser les erreurs de reprojection et garantir un alignement précis.

    ➡️ Suivez les captures d’écran ci-dessus pour lancer le processus d’alignement dans le logiciel.

    Option d'alignement des photos Paramètres d'alignement

    Figure 2 : Interface et paramètres d'alignement

    Comprendre les paramètres d’alignement dans Metashape

    Lors de l’alignement des images, Metashape propose plusieurs paramètres importants à configurer selon la qualité des images et les données disponibles :

    • Accuracy (Précision)
      Détermine le niveau de précision de l’alignement.
      ➤ Plus la précision est élevée, plus le calcul est long, mais le résultat est plus précis.
      Valeur par défaut : Medium.
    • Generic Preselection
      Active une présélection rapide basée sur les caractéristiques globales des images.
      ➤ Permet d’accélérer l’alignement sans perte notable de qualité.
      ➤ À laisser cochée.
    • Reference Preselection
      Utilise les coordonnées GPS des images pour restreindre les comparaisons uniquement aux images proches.
      ➤ À activer uniquement si le paramètre Source est réglé sur Sequential.
    • Source
      Définit la logique de recherche des correspondances entre images :
      • Estimated : Aucun ordre particulier (mode par défaut).
      • Sequential : Les images sont prises dans un ordre linéaire (idéal pour les vols de drone ou les vidéos).

    Recommandation

    Pour des images géoréférencées avec GPS, il est conseillé de :

    • Régler Source sur Sequential
    • Activer Reference Preselection

    Cela permet un alignement plus rapide et plus fiable.

    Une fois les paramètres définis, cliquez sur OK et patientez pendant l’alignement. Ce processus peut prendre un certain temps…

    Progression du traitement

    Barre de progression de l'alignement

    Résultats de l’alignement

    Une fois le traitement terminé, Metashape fournit les résultats suivants :

    • Les poses relatives (positions et orientations) de toutes les caméras/images.
    • Une estimation des paramètres internes de la caméra (comme la focale et la distorsion), si ceux-ci ne sont pas fournis.
    • Un nuage de points 3D initial, obtenu par triangulation des points homologues détectés sur plusieurs images.
    • La position géographique du modèle, si les images sont géoréférencées à l’aide de données GPS.
    Position des caméras

    Résultat de l'alignement des caméras

    Inspection visuelle

    Vérifiez que le nuage de points clairsemé (Tie points) reflète correctement la scène réelle. Si vous observez des points aberrants ou éloignés de la structure attendue, essayez de les supprimer, ainsi que les photos qui ont pu causer ces anomalies.

    Assurez-vous également de l’homogénéité des positions des caméras : elles doivent être réparties de manière cohérente autour de la scène.

    Référencement spatial

    Si les photos sont géotaguées (c’est-à-dire qu’elles possèdent des coordonnées GPS), Metashape géoréférence automatiquement le nuage de points clairsemé après l’alignement.

    Pour une précision plus élevée, vous pouvez importer des points de contrôle au sol (GCPs) dans l’onglet Reference, puis les placer manuellement sur les images. Une fois tous les points placés, cliquez sur "Optimize Cameras" pour mettre à jour la géolocalisation du projet.

    Générer le nuage de points dense (Build Dense Point Cloud)

    Cette étape permet de construire un nuage de points dense à partir des photos alignées. Il s’agit d’une version beaucoup plus détaillée du nuage clairsemé obtenu lors de l’alignement.

    ➤ C’est une étape clé pour obtenir un modèle 3D, un MNE (Modèle Numérique d’Élévation) et un orthomosaïque précis.

    Suivez les captures d’écran ci-dessous pour lancer le processus.

    Menu du nuage de points Paramètres du nuage de points

    Figure 3 : Génération du nuage de points dense

    Paramètres du nuage de points dense lors de la génération

    Lors du lancement de Build Dense Point Cloud, choisissez la qualité adaptée à la puissance de votre ordinateur. Pour débuter ou réaliser un test rapide, la qualité Medium est recommandée. La qualité Ultra High offre plus de détails, mais demande beaucoup de ressources (RAM, CPU, GPU).

    Option : Depth Filtering (Filtrage de profondeur)

    Dans la boîte de dialogue Build Dense Cloud, vous trouverez une option appelée Depth Filtering avec plusieurs choix :

    • Aggressive (Agressif)
    • Moderate (Modéré)
    • Mild (Léger)
    • Disabled (Désactivé)

    À quoi sert ce filtrage ?
    Le filtrage de profondeur sert à réduire le bruit (points erronés ou flottants) dans le nuage dense.

    • Aggressive : supprime beaucoup de bruit, mais peut aussi éliminer des détails fins.
    • Moderate : bon compromis entre nettoyage et préservation des détails.
    • Mild : conserve plus de détails, mais laisse plus de bruit.
    • Disabled : aucun filtrage, utile uniquement dans des cas très contrôlés.

    Conseils d’utilisation

    • Pour la plupart des projets, Moderate est un bon choix.
    • Si votre scène contient des petits objets détaillés (branches, statues, etc.), utilisez Mild.
    • Aggressive est recommandé pour les scènes très bruyantes ou complexes.

    Très important : Temps de génération du nuage de points dense

    La génération du nuage de points dense prend généralement beaucoup de temps. Cela dépend de plusieurs facteurs :

    • La résolution et le nombre de photos
    • Les paramètres sélectionnés
    • La puissance de calcul de votre ordinateur

    Sur l’ordinateur utilisé pour ce tutoriel — un processeur i5 à 2 GHz, 8 Go de RAM DDR4, disque SSD de 7ᵉ génération, sans GPU dédié — avec le jeu de données et les paramètres précités, cette étape a pris environ 4 heures.

    Pour des scènes plus grandes avec des photos en haute résolution, même sur des ordinateurs puissants, le traitement peut durer plusieurs jours. Ne paniquez pas si le traitement est long, surtout si vous avez pris les photos correctement et réalisé un bon alignement. Attendez par exemple 24 heures pour obtenir un modèle 3D précis de très bonne qualité ; cela en vaut la peine.

    Résultat

    À la fin du traitement, vous obtenez un nuage de points dense photogrammétrique à partir duquel vous pourrez construire un modèle 3D, un orthomosaïque ou un MNE (Modèle Numérique d’Élévation).

    Nuage de points dense

    Résultat du nuage de points dense

    Une fois le nuage de points dense généré, vous avez la clé pour produire le MNE (Modèle Numérique d’Élévation), le modèle 3D et l’orthomosaïque.

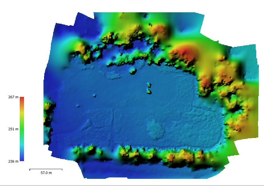
    Génération et export du MNE et de l’orthomosaïque

    À cette étape, vous n’aurez plus à attendre longtemps pour les prochains traitements.

    Le travail gourmand en ressources — l’alignement des images et la génération du nuage de points — a déjà été effectué.

    👉 Vous n’êtes donc plus obligé d’attendre de longues heures pour ces étapes.

    ⚠️ Attention : N’oubliez pas de sauvegarder votre projet maintenant, pour éviter de devoir tout recommencer depuis zéro en cas de problème.

    Pour générer le MNE ou l’orthomosaïque :

    • Faites un clic droit sur le chunk, puis sélectionnez Process → Build DEM ou Build Orthomosaic.

    Important : il faut d’abord créer le MNE, qui sera ensuite utilisé pour générer l’orthomosaïque.

    Pour mieux comprendre la théorie derrière ce processus, je vous invite à consulter le chapitre sur l’orthomosaïque dans le cours de photogrammétrie.

    Paramètres DEM Export DEM

    Dans la fenêtre qui s’affiche lorsque vous choisissez Build DEM, sélectionnez Point Cloud comme source de données.

    Une fois le DEM créé, lancez la création de l’orthomosaïque en choisissant DEM comme source de données

    Orthomosaïque Résultat DEM

    Enregistrer les résultats :

    Pour exporter le DEM ou l’orthomosaïque, faites un clic droit dessus, puis choisissez Export DEM ou Export Orthomosaic.

    Export DEM

    Fenêtre d'export des résultats

    Une fenêtre s’ouvre alors pour définir le nom et le format du fichier. Le format par défaut .tiff est adapté à notre cas, car il permet de conserver la géoréférenciation nécessaire pour une utilisation ultérieure dans des logiciels cartographiques comme QGIS ou ArcGIS.

    Sauvegarde DEM

    Fenêtre d'export des résultats

    Rappel des étapes pour créer un orthomosaïque et un DEM à partir d’images stéréoscopiques prises par drone avec Agisoft Metashape

    Le processus commence par l’importation des photos, suivie de l’alignement qui permet d’obtenir les points d’accroche (tie points) ainsi que la position et l’orientation des caméras. Ensuite, on génère un nuage de points dense, qui sert de base pour construire le Modèle Numérique d’Élévation (DEM). Enfin, à partir du DEM, on produit l’orthomosaïque.

    Pour que le géoréférencement soit précis, les positions des prises de vues doivent être présentes dans les métadonnées GPS des images. Si ce n’est pas le cas, il est nécessaire d’utiliser des points de contrôle au sol (GCPs) ou des marqueurs dans Metashape. Ces points de contrôle doivent être facilement identifiables sur les images et leurs coordonnées précises relevées sur le terrain.



    💬 Commentaires

    📝 Soyez le premier à commenter cette page !